Follow us on Social Media -

Our Designs

What We Offer?

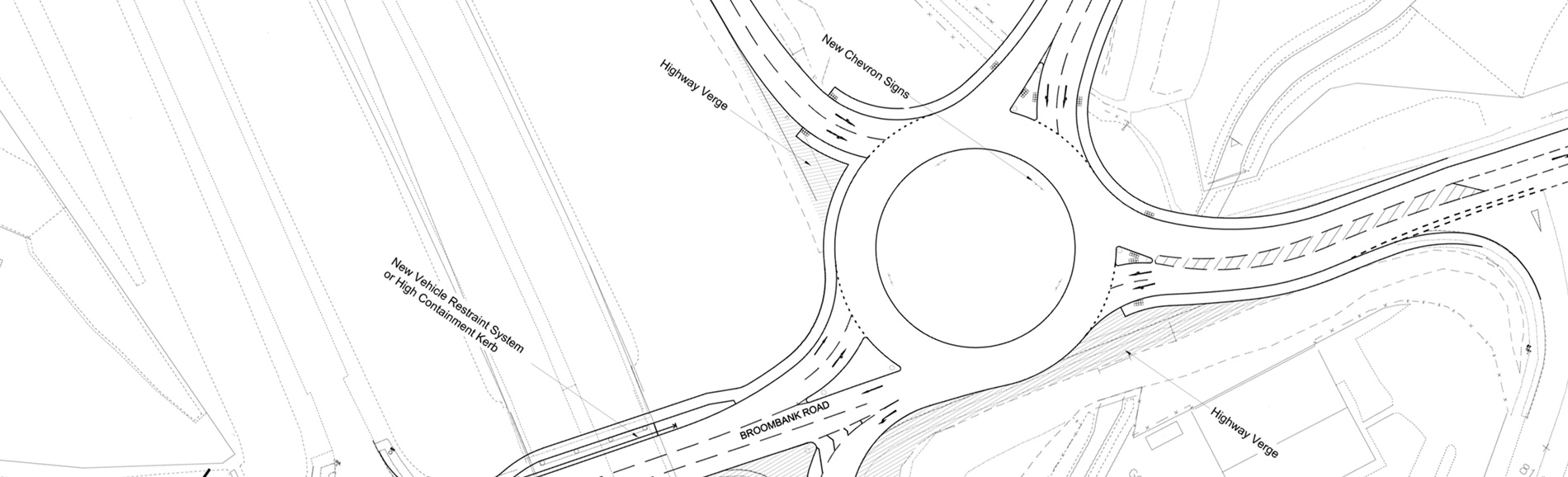
At IPD, we provide civil engineering expertise for both commercial and residential developments. While securing the approvals your project requires, we deliver infrastructure design that meets both technical standards and commercial objectives.

Why Our Designs Are Different

We take time to understand our clients before any design work begins. By gaining clarity on project aspirations, we’re able to take a truly collaborative approach, delivering solutions that go the extra mile. Working closely with other consultants allows us to draw on a range of expertise, creating a genuine multi-disciplinary effort. This shared perspective enables us to develop innovative solutions that others may overlook.

Bespoke For Purpose

By assessing both the opportunities and constraints of every site, we ensure we have the insight needed to deliver the most effective design solution. Through thorough contextual analysis, our development proposals are shaped to suit their location, ensuring each design is both appropriate and robust.

Testing and Quality Assurance

All of our design work undergoes a two-stage check by experienced engineers to ensure both technical and commercial standards are met. Our internal systems and rigorous procedures capture best practice, giving you confidence that every project complies with relevant industry standards.

IPD Ltd - Chartered Planning and Design Practice

Planning and Design to Create a Sustainable Future

We guide projects from feasibility through to delivery with expertise in planning, infrastructure design and technical approvals. Our collaborative approach ensures every project reaches its full potential and is set up for long-term success.

Explore Our Services

Start Planning Your Next Project

    By submitting this form, you agree to our Privacy Policy

    IPD Ltd

    36 Chesterfield Road, Market Street, Staveley, Chesterfield, England, S43 3UT

    Website Hosted by Greenfrog Computing

    IPD
    Privacy Overview

    This website uses cookies so that we can provide you with the best user experience possible. Cookie information is stored in your browser and performs functions such as recognising you when you return to our website and helping our team to understand which sections of the website you find most interesting and useful.